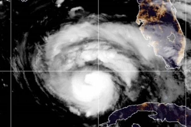
Svet 09:43 29.08.2021 PRIBLIŽAVA SE NAJJAČI URAGAN OD 1850. GODINE: Ida preti da OPUSTOŠI Luizijanu, gradonačelnica preporučuje EVAKUACIJU, BAJDEN odobrio VANREDNO STANJE!
Svet 19:08 14.08.2021 PRE 11 GODINA ZEMLJOTRES U HAITIJU ODNEO JE VIŠE OD 200.000 ŽIVOTA: Danas je opet RAZOREN, Premijer potvrdio da ima ŽRTAVA! (VIDEO)
Društvo 20:28 09.07.2021 (VIDEO) ŠAPČANI UPOZORILI BEOGRAĐANE: Kod nas se NEBO OTVORILO, OVA OLUJA STIŽE U PRESTONICU!
Društvo 14:12 26.06.2021 SRBIJI PRETE JAKI ZEMLJOTRESI? Otrkiveno zašto je Balkan počeo da se "trese"!
Region 09:48 26.06.2021 JEZIVA ISPOVEST BEOGRAĐANKE IZ EPICENTRA ZEMLJOTRESA U CRNOJ GORI: Zgrabila sam dete i krenula da trčim, SVE SE TRESLO!
Društvo 14:09 10.05.2021 NIJE BILO ZEMLJOTRESA KOD VALJEVA! Došlo do greške u sistemu, evo o čemu se radi!
Društvo 13:46 10.05.2021 TRESLO SE VALJEVO: Zemljotres jačine 3 stepena po Rihteru na dubini od 10 kilometara!
Društvo 03:30 GREJETE JEDNU SOBU "DO DASKE", A DRUGE OSTAVITE HLADNE: Evo zašto je ovo loše i zašto tako ništa nećete uštedeti
Elita 9 03:30 HITNA OPOMENA ZA ANITU STANOJLOVIĆ NAKON HAOSA SA LUKOM: Stižu loše vesti, mora odmah da se dovede u red!
Hronika 03:00 VOZITE PAŽLJIVO! ABS ima važan apel za ovaj vikend: Moguća poledica na putevima, na OVO morate obratiti pažnju!
Jugohronika 02:30 SMRT IZA REŠETAKA: Osumnjičeni za bludne radnje nad maloletnom osobom oduzeo sebi život!
Srbija 01:30 MAJKA I DETE U NESVAKIDAŠNJOJ ŠETNJI! Pogledajte šta su snimile nadzorne kamere na Tari (VIDEO)
00:09 AKO SE UHVATIMO ZA OVO, NEIZBEŽNO ĆEMO POBEDITI ĐAVOLA: Starac Jefrem Arizonski otkriva najsilniju zaštitu od zlih sila